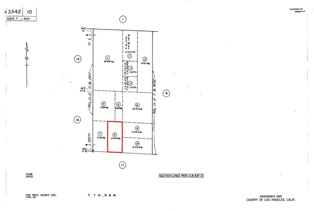
Discover 5.24 sprawling acres in the peaceful Hi Vista area of Lancaster—an ideal opportunity for anyone seeking wide-open space, natural beauty, and future potential. This rectangular parcel, APN: 3342-010-008, Los Angeles County, offers approximately 334 feet of frontage on East Avenue H-8 and sits just off 205th Street East, providing convenient dirt-road access while maintaining the quiet seclusion the High Desert is known for. Surrounded by panoramic desert and mountain views, this property is also located near the Butte Valley Wildflower area, where vibrant seasonal blooms paint the landscape each spring. Whether you're looking for a recreational escape, a long-term investment, or a future homesite, this parcel delivers the serene environment and expansive setting that Hi Vista is admired for. A great opportunity to own your own piece of the Antelope Valley so come explore the possibilities today by using the neighbor's address, 20211 E Avenue H-12, Lancaster, CA 93535, then use the Southwest corner GPS coordinates: 34.712445, -117.764124.
MLS #
CROC25269380
MLS Source
California Regional MLS
Days on Site
2
Water
Other
HOA Fee
$0
Zoning
DESB, DESF, LZ, LSR, RK
20554 E H-8 Ave is in –, CA 93535. This Land is currently priced at $17,500. This address can also be written as 20554 E H-8 Ave, –, CA 93535.
©2025 California Regional MLS. All rights reserved. All data, including all measurements and calculations of area, is obtained from various sources and has not been, and will not be, verified by broker or MLS. All information should be independently reviewed and verified for accuracy. Properties may or may not be listed by the office/agent presenting the information. Information provided is for personal, non-commercial use by the viewer and may not be redistributed without explicit authorization from California Regional MLS.
Presently MLSListings.com displays Active, Contingent, Pending, and Recently Sold listings. Recently Sold listings are properties which were sold within the last three years. After that period listings are no longer displayed in MLSListings.com. Pending listings are properties under contract and no longer available for sale. Contingent listings are properties where there is an accepted offer, and seller may be seeking back-up offers. Active listings are available for sale.
This listing information is up-to-date as of December 02, 2025. For the most current information, please contact Scott Vu, (714) 454-5114