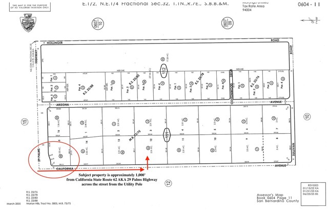
Pretty much level 2.31 acre parcel not far from the popular Joshua Tree National Park on the Park side of the Highway. Nearby Utility poles. Beautiful views of the Mountains, great access to the property on a signed and graded road about 1000’ from California State Route 62 aka 29 palms Highway. APPROXIMATE GPS Coordinates from google maps: 34°07'54.1"N 116°16’06.7"W
MLS #
CRNP26033784
MLS Source
California Regional MLS
Days on Site
9
Fencing
None
HOA Fee
$0
Zoning
D1, LZ
0 California Ave is in Joshua Tree, CA 92252. This Land is currently priced at $39,000. This address can also be written as 0 California Ave, Joshua Tree, CA 92252.
©2026 California Regional MLS. All rights reserved. All data, including all measurements and calculations of area, is obtained from various sources and has not been, and will not be, verified by broker or MLS. All information should be independently reviewed and verified for accuracy. Properties may or may not be listed by the office/agent presenting the information. Information provided is for personal, non-commercial use by the viewer and may not be redistributed without explicit authorization from California Regional MLS.
Presently MLSListings.com displays Active, Contingent, Pending, and Recently Sold listings. Recently Sold listings are properties which were sold within the last three years. After that period listings are no longer displayed in MLSListings.com. Pending listings are properties under contract and no longer available for sale. Contingent listings are properties where there is an accepted offer, and seller may be seeking back-up offers. Active listings are available for sale.
This listing information is up-to-date as of February 15, 2026. For the most current information, please contact Robert Koop Jr