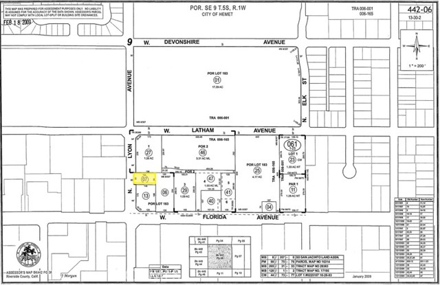
The offering consists of an approximately 0.34-acre commercial lot located on Lyon Avenue, between Highway 74 and Latham Avenue. in the City of Hemet. The property itself it entirely flat and has existing curb and sidewalk improvements. Additionally, there are electric poles running along the western border of the property and water/sewer appears to be accessible at Latham/Lyon Ave (EMWD). Bordering the property to the south and east is a small strip mall, motel, AutoZone and Salvation Army, to the north is vacant land and existing mobile home communities, and to the west is a Church and medical office building. Additionally, there is an existing access road coming off Lyon Avenue bordering the north side of the property. Please reach out with any questions or interest in this opportunity.
MLS #
CRIV26029719
MLS Source
California Regional MLS
Days on Site
0
HOA Fee
$0
Zoning
LV
Listing Agent
MICHAEL PIZZAGONI
COLDWELL BANKER COMMERCIAL SC
License #: 02200504
Phone: (480) 625-7495
Co-Listing Agent
Eric Washle
COLDWELL BANKER COMMERCIAL SC
License #: 02076218
Phone: –
0 Lyon Avenue is in Hemet, CA 92543. This Land is currently priced at $165,000. This address can also be written as 0 Lyon Avenue, Hemet, CA 92543.
©2026 California Regional MLS. All rights reserved. All data, including all measurements and calculations of area, is obtained from various sources and has not been, and will not be, verified by broker or MLS. All information should be independently reviewed and verified for accuracy. Properties may or may not be listed by the office/agent presenting the information. Information provided is for personal, non-commercial use by the viewer and may not be redistributed without explicit authorization from California Regional MLS.
Presently MLSListings.com displays Active, Contingent, Pending, and Recently Sold listings. Recently Sold listings are properties which were sold within the last three years. After that period listings are no longer displayed in MLSListings.com. Pending listings are properties under contract and no longer available for sale. Contingent listings are properties where there is an accepted offer, and seller may be seeking back-up offers. Active listings are available for sale.
This listing information is up-to-date as of February 09, 2026. For the most current information, please contact MICHAEL PIZZAGONI, (480) 625-7495