Potential vacant land for your future home.
MLS #
ML81997290
MLS Source
MLSListings, Inc.
Days on Site
284
Development Status
None
Existing Structures
None
Fencing
None
Present Use
Residential
Utilities
Gas - Available at Street
Elementary District
Sacramento City Unified
High School District
Sacramento City Unified
Sewer
Other
Zoning
RD-5
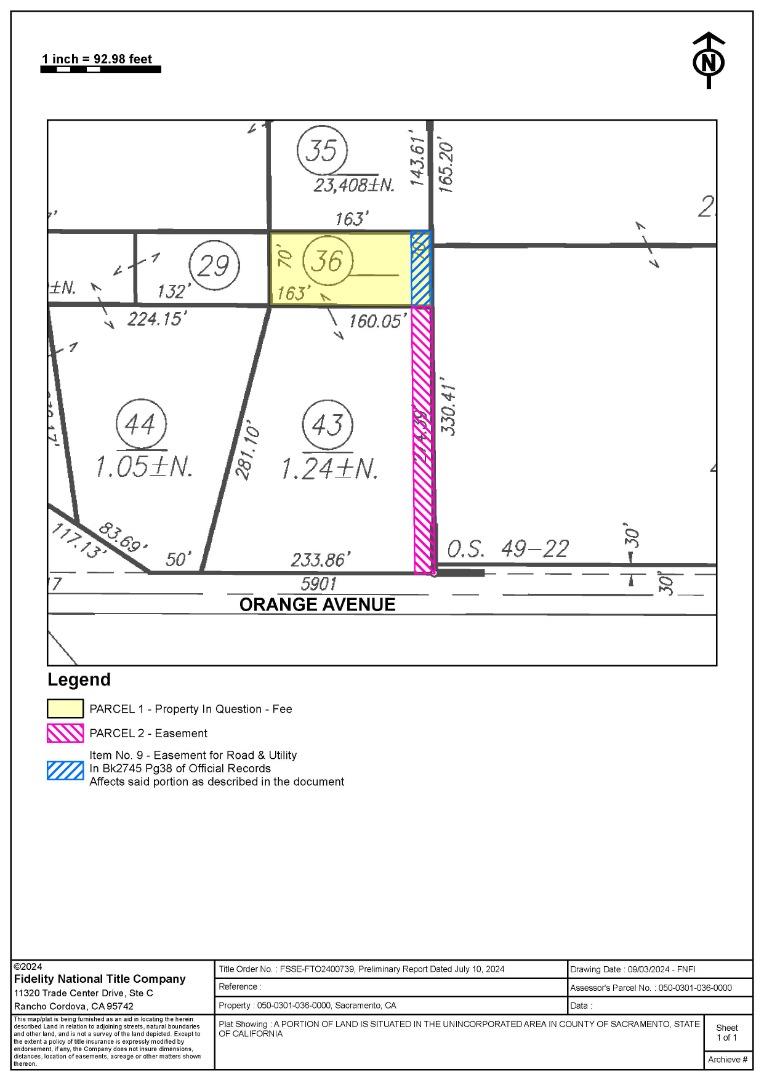
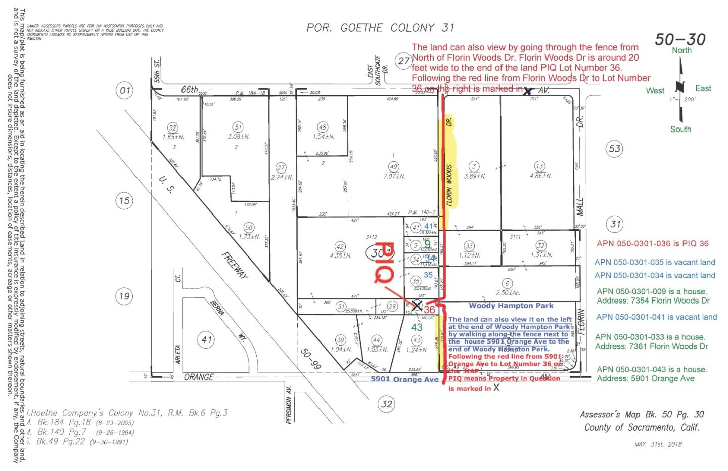
0 Orange Ave is in Sacramento, CA 95823. This Land is currently priced at $60,000. This address can also be written as 0 Orange Ave, Sacramento, CA 95823.
©2025 MLSListings Inc. All rights reserved. All data, including all measurements and calculations of area, is obtained from various sources and has not been, and will not be, verified by broker or MLS. All information should be independently reviewed and verified for accuracy. Properties may or may not be listed by the office/agent presenting the information. Information provided is for personal, non-commercial use by the viewer and may not be redistributed without explicit authorization from MLSListings Inc.
Presently MLSListings.com displays Active, Contingent, Pending, and Recently Sold listings. Recently Sold listings are properties which were sold within the last three years. After that period listings are no longer displayed in MLSListings.com. Pending listings are properties under contract and no longer available for sale. Contingent listings are properties where there is an accepted offer, and seller may be seeking back-up offers. Active listings are available for sale.
This listing information is up-to-date as of September 17, 2025. For the most current information, please contact Thanh Tran, (408) 921-9628